Движение на проспекте Республики в Астане восстановят 20 июля

Асель Сатаева
Асель Сатаева Выпускающий редактор

ПОДЕЛИТЬСЯ

Движение на проспекте Республики в Астане восстановят 20 июля

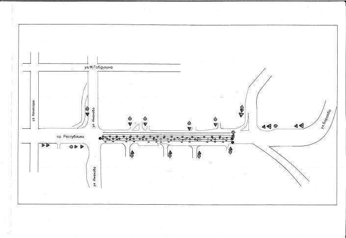
Движение на проспекте Республики в Астане полностью восстановят 20 июля, сообщает Tengrinews.kz со ссылкой на акимат столице.  

ПОДЕЛИТЬСЯ

Движение на проспекте Республики в Астане полностью восстановят 20 июля, сообщает Tengrinews.kz со ссылкой на акимат столице.  

Столичным Управлением автомобильных дорог города продолжаются ремонтные работы по проспекту Республикина участке от  улицы Иманова до транспортной развязки в районе микрорайона "Самал".

"С 17 по 19 июля этого года на указанном участке сохраняется частичное перекрытие движения автотранспортных средств. Движение транспорта на проспекте Республики будет полностью восстановлено 20 июля", - говорится в распространенной информации.  

Во избежание возникновения заторовых ситуаций на дорогах города Управление рекомендует жителям и гостям столицы заранее планировать свои маршруты. 

Ранее сообщалось, что проспект Республики перекроют с 14 по 17 июля.

Tengrinews
Читайте также
Join Telegram

Курс валют

 506.65  course down  593.07  course down  6.55  course up

 

Погода

location-current
Алматы
А
Алматы -9
Астана -13
Актау -3
Актобе -14
Атырау -6
Б
Балхаш -16
Ж
Жезказган -18
К
Караганда -22
Кокшетау -26
Костанай -6
Кызылорда -16
П
Павлодар -27
Петропавловск -20
С
Семей -12
Т
Талдыкорган -10
Тараз 1
Туркестан -11
У
Уральск -17
Усть-Каменогорск 2
Ш
Шымкент -14

 

Редакция Реклама
Социальные сети